Auswertung mit iTWOcivil
Inhalt
- Import von Rasterbildern
- Import von Punktwolken
- Erstellung eines DGM über einen Linienzug
- Erstellung eines DGM über Punkte
- Erstellung von Elementen
- Erstellung von Querprofilen
1. Import von Rasterbildern
Einzelnes großes Bild erst ab der Version 2022 möglich
Und auch eine Schwesterdatei ist nicht mehr zwingend nötig
Auch sollten Rasterbilder gekachelt werden, auch wegen der Performance

Auswahl der Rasterbilder

Darstellung der Rasterbilder

2. Import von Punktwolken
nicht unter dem RIB-Button sondern unter Elemente

Unter Optionen (Punktwolke) kann man die verschiedenen Darstellungen wie z.B. die Punktgröße oder Darstellungsart

Wichtig für die weitere Bearbeitung
Unter Optionen (Interpolation) Punkthöhen aus Punktwolken auf ein Stellen da sonst die Punktwolke nicht berücksichtigt wird.
Die anderen Einstellungen können je nach Projekt eingestellt werden

3. Erstellung eines DGM über einen Linienzug

Nach der Erstellung eines Umring kann das DGM erstellt werden


Die Vermaschung der Dreiecke wurde hier im Abstand von 1m erstellt siehe auch Optionen hier kann die weite eingestellt werden

4. Erstellung eines DGM über Punkte
Mit Hilfe von Punktelementen im Polygon

Bei dieser Methode können die Punkte variabler erstellt werden

Hier werden Punkte direkt erstellt und dann als Elemente vermascht werden.
Vorteil hier ist das man die Punkte in der 3D Ansicht überprüfen kann und ggf. gelöscht oder verändert werden können.


Hier auch das fertige DGM im Grundriss und 3D Ansicht

5. Erstellung von Elementen
Hier die Platzierung von Symbolen und Linien
Die können direkt im Grundriss oder in der 3D Ansicht platziert werden.

Es ist auch möglich 2D Elemente nachträglich auf die Punktwolke zu proizieren

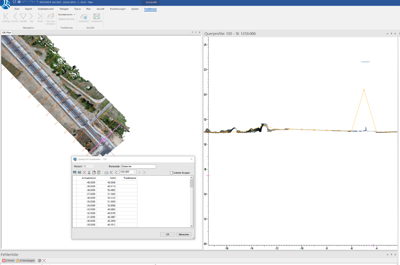
6. Erstellung von Querprofilen
Hierfür benötigen wir den Befehl Querprofile interpolieren

Genauso wie man Querprofile aus einem DGM erzeugt.

Danach über Ergebnisse den Auszug generieren.

In der Querprofilsansicht können die Profillinien kontrolliert und editiert werden

